Cod. 2133
Zona: VIALE TRIESTE - Casa singola DA RISTRUTTURARE sviluppata su unico livello al piano terra con giardino.
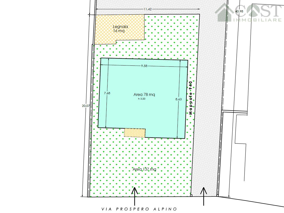
Ottima posizione all'interno di Viale Trieste su strada chiusa, comoda ai servizi e ben collegata al centro città. L'immobile oltre alla parte abitativa (circa 80mq) dispone di un locale accessorio attualmente adibito a deposito/ripostiglio esterno.
L'ingresso pedonale è indipendente e diretto dalla strada pubblica. Se necessario, c'è la possibilità di creare un accesso carraio da una stradina privata laterale in modo da creare anche un posto auto interno la proprietà.
- Stato Immobile: Da ristrutturare
- Mq: 109
- Numero Camere: 2
- Bagni: 1
- Spese Condominiali: n.d.
- Piano: Piano Terra
- N. Condomini: 1
- Livelli Interni: 1
- Anno Costruzione: 1957
- Anno Ristrutturazione: n.d.
- Riscaldamento: autonomo
- Mq Giardino Esclusivo: 137
- Garage: NO
- Terrazzi: 0
- Classe energetica: In corso di definizione

- kWh/mq anno: n.d.
Condividi questo immobile su: